The work force 1960
- My Dad the owner Arthur Edge . (21 Westwood avenue Timperley Cheshire)
Myself Anthony Arthur Edge. (21 Westwood avenue Timperley Cheshire)
Bill Payne Manager. (Manchester a keen breeder of Airedale Terriers)
Margaret Statham (Living at Gorton)
Jessie Walker (Living close by Plymouth Ave Longsight)
Stan Bell Driver (Wythenshawe ex Radio an tv engineer)
Bill Lockett Driver/Assistan Manager (Ex Cinema projector operator)
Bill l ? Driver
Ben ? Driver
Alan ? Worker
Fred Eaton Labeler and work hand (Cheatam Hill)
John Horridge Labeler and work hand (Manchester)
- Vinegar was bottled for Mr Atkinson. (Atkinsons Vinegar).
The beginning of the Edge Soft drink Production.
Thomas Edge the founder of the Mineral Water works was born in the beautiful
vale of Dove Dale on the borders between Staffordshire and Derbyshire in the year of 1845 in a village called Alstonefield.
It is thought he spent some of his early years with his grandfather William Edge a Coal Carrier and his Grandmother Ann in a small village called Waterfall in Staffordshire.
From early tales from my Grandmother. Thomas Edge was a railway engine driver.
Thomas married Mary His childhood sweetheart who was born in Ashbourne Derbyshire. They moved to a terraced house number 62 Earl Street Longsight .
Earl Street was unfortunately demolished late into 1960s
-
The Edge family spent many happy years at Earl Street.
-
A snapshot in time going back to 1881
-
Edith the first born aged 9
-
Walter E aged 2
-
Arthur Edge (1) aged 7
Many people who lived on Earl Street remember with those happy days where all the neighbors knew each other and the doors were never locked the corner shop open till late. The children were happy and often played in the sand park nearby.
The numerous shops The Earl Street Mission, Midgleys Butchers, The Fox Pub and the Clarence Inn .
The Edge family spent many happy years at Earl Street. Until tragedy struck one cold November day in 1882 Robert became ill and died. Times were hard in those days infant mortality was very high both Arthur and Robert were the same age.
The grief was unbearable the family were heartbroken and decided Roberts final resting place should be near to his Grandparents home where he spent so many happy times. A service was held Edmunds Church at Fenny Bentley near Ashbourne.
Life had to go on Thomas spent all hours providing for the family slowly life began to improve Mary and Thomas were blessed another boy and they decided to call him Robert. Water bourne diseases were rife in central towns.
Many small soft drinks firms were setting up in Manchester.
Thomas became very interested in the health benefits of mineral waters, an opportunity became available to manufacture mineral waters.
Photograph 1890 Robert 6. Arthur Edge 15 (1) . Thomas Edge aged 42.

Thomas worked very hard building up the soft drink business at Plymouth Grove. He was so successful, and with the expanding family they needed a bigger house and business premises.
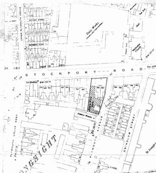
An ideal property became available a large house at 446 Stockport Road Manchester with a works behind. The building at the rear had good access onto Plymouth Ave and had a Large Stable with a floor above with a hoist to the cobbled forecourt.
During 1922 a garage was added for lorry access onto Stockport Road.
The house and works were situated just opposite the Daisy Works
unfortunately due to fire the buildings were demolished late in 1960s.
The Daisy Works still stands and is not far from St Joseph's Police Station
on the opposite side of the road towards Stockport.
The Edge family 1901
- Records in the 1901 census six people were living in this house.
- Thomas Edge aged 56, Head of the household, Mineral Water Manufacturer.
- Mary Edge, Wife, aged 53, House wife, from Bradley Ashboune Derbyshire.
- Edith H Edge single, aged 29, no occupation given, Born Manchester Lancs.
- Walter Edge, Son, aged 22, occupation classed as worker, Born in Manchester .
- Robert Edge, Son, aged 17, a lithographic artist, worker at home, born in Manchester .
- Fanny Harrison, relative, 60, Cook and housekeeper, Born Turnditch Belper Derbyshire.

Click here to play archive films of Longsight & Manchester
Click here for my late fathers Biography
Click hereThomas Edge retires to Colwyn Bay
FLIKR photostream of all Photographs
FLICKR Photo Albums